Рощинский байкмарафон Салавата Юнусова 2009
- Трасса
Внимание:
Марафон проводится в заповеднике Республиканского значения! Поэтому убедительно просим участников и гостей соревнований:
- по возможности оставить автомобили дома
- не разводить костры
- мусор и другие отходы складывать в строго отведенные места.
- СТАРТ на поляне в 150 метрах юго-западнее железнодорожного моста через р. Рощинка. (место старта как в 2008г).
- Далее по лесной дороге, через мостик (ручей Кроткий), по урочищу Сырое до асфальтовой дороге:Рощино - Сосновая Поляна. На перекрестке поворот направо.
- Далее по дороге через пос. Сосновая Поляна до трассы А-125 (С-Пб - Выборг, через Каменку) На перекрестке поворот направо.
- Далее по трассе А-125 (примерно 14 км. В сторону Выборга). Не доезжая 400м. до моста через ручей Летний правый поворот (УКАЗАТЕЛЬ ОРГАНИЗАТОРОВ ГОНКИ) в сторону пионерлагеря.
- Далее по проселочной дороге, через пионерлагерь (направление север, северо-восток), по лесной дороге к берегу Гладышевского озера, вдоль берега озера по лесной дороге до водокачки.
- Далее поворот налево вдоль ЛЭП (200м) и поворот направо, далее по лесной дороге до брода через ручей Долгунец.
- Далее по лесной дороге (направление восток, северо-восток) до брода через ручей Болотный
- Далее по лесной дороге (направление север, северо-восток) до высоты 54,6м.
- Далее поворот на юг, юго-восток по направлению к озеру Гладышевскому, через пионерлагерь, через мост (река Великая) до Дома отдыха
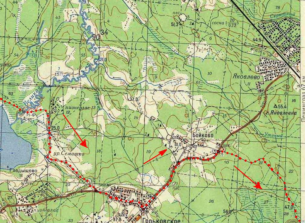
- Далее по асфальтовой (грунтовой) дороге через урочище Семашко до трассы на пос. Горьковское, на трассе поворот налево.
- Далее через поселок Горьковске до перекрестка в восточной части поселка, на перекрестке поворот налево в сторону пос. Байково.
- Далее по трассе до пос. Байково. Не доезжая 100м до школы (конец поселка) поворот направо на лесную дорогу.
- Далее по лесной дороге (направление восток, юг, юго-восток) до ручья Кроткий.
- Далее по лесной дороге вдоль ручья Кроткий (периодически пересекая его по мостам) до развилки.
- От развилки - направо на второй круг
налево на финиш (через 100м)
Детский круг: Старт - до дороги Рощино - Сосновая Поляна и обратно.
Красной маркировкой на картах обозначен частично маршрут, проходящий по лесным, грунтовым, шоссейным дорогам и тропам.
Ждем всех на старте! Утвержденное Положение о Рощинском байкмарафоне будет размещено на сайте дополнительно в первых числах мая. Вопросы можно задавать на форуме www.salavatbike.spb.ru или по телефону 320-02-46 (с13.00 до 19.00, кроме воскресенья).
Маршрут разрабатывали: м.с. Салават Юнусов (2008г), м.с. Ольга Лимонова.
Фотографии с дистанции:
Последние новости:









